Leave a Message

Thank you for your message. We will be in touch with you shortly.

See all photos
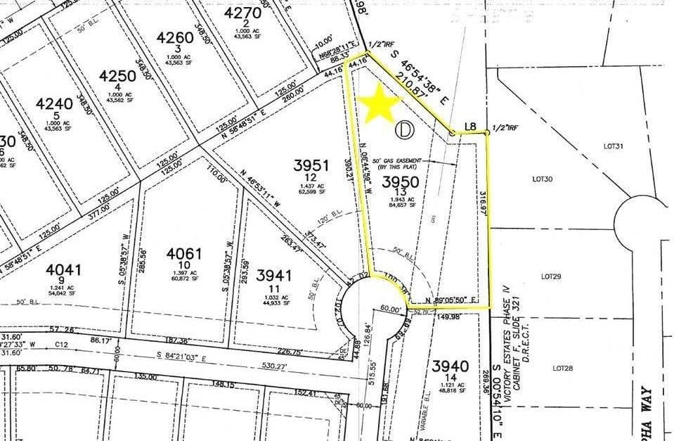
3950 Lizzy Ln

3950 Lizzy Ln

Price Upon Request | 3950 Lizzy Lane, Midlothian, TX 76065

Amazing location on a large cul-de-sac lot in Four Trees in Midlothian! Hard to find, 1.94 acre lot! Minimum home size is 2200 square feet! This is an wonderful opportunity to build your dream home, choose your own builder and design your dream estate! Great location, just minutes to Highway 67! Enjoy living in this wonderful neighborhood, filled with custom homes where each one is different and unique! You can't beat this location and the large lot size, the options are endless for this piece of land! A must see!

Request Info

SOLD

Status

Features & Amenities

Area & Lot

Status:
Sold
Lot Size:
1.94 Acres
MLS® ID:
14233654
Type
Land

Financial

Price upon request

Location

Follow Us